広い土地で
都会に近い
田舎ライフ

そろそろ次のライフスタイルを
考え始めませんか?

不動産や財産整理、土地活用など、
様々な私たちの経験をもとに
お手伝いをさせていただきます。

経験豊富なプロフェッショナルが、皆さまの疑問や質問にお答えします。
「さんぽはうす」だからこそ、ご提案出来る内容があります。まずはお気軽にご相談ください。

物件情報

川島町 売地① 約151坪(498.76㎡)

売土地800万円
埼玉県比企郡川島町
西武新宿線「本川越」〜東武バス「釘無」
> 物件詳細

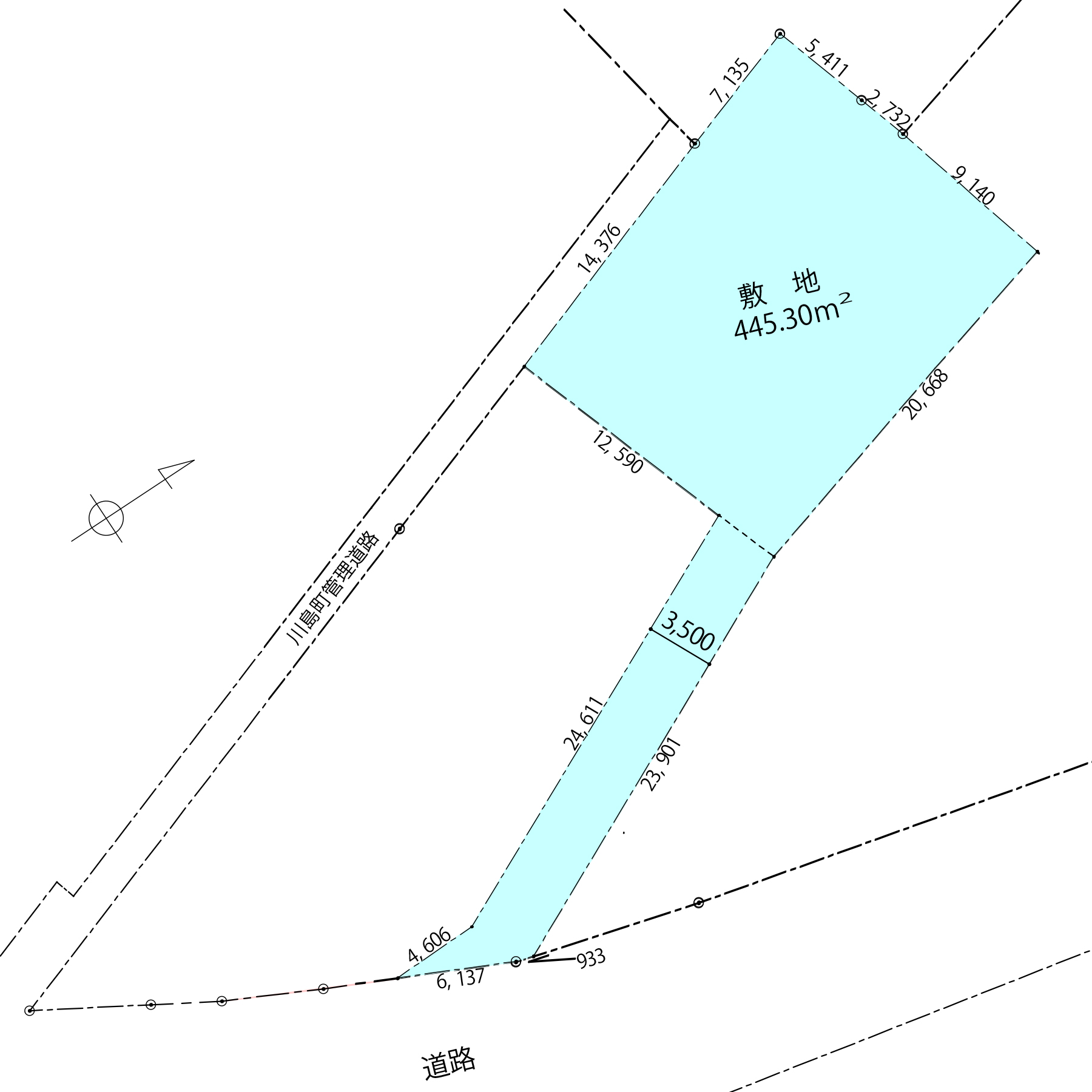
川島町 売地② 約134坪(445.30㎡)

売土地700万円
埼玉県比企郡川島町
西武新宿線「本川越」〜東武バス「釘無」
> 物件詳細

物件情報

川島町 条件付 約216坪(715.77㎡)

売土地600万円
埼玉県比企郡川島町
西武新宿線「本川越」〜東武バス「釘無」
> 物件詳細

会社概要

さんぽはうす
  • 代表者名
    𠮷川 ヨシ
  • TEL
    049-293-4331
  • FAX
    049-293-4332
  • MAIL
    info@sanpohouse.jp
  • 住所
    埼玉県川越市旭町1-9-12
  • 営業時間
    10:00〜18:00
  • 定休日
    土日祝

宅地建物取引業登録:埼玉県知事(1)第25476号
(公社)不動産保証協会
(公社)全日本不動産協会 埼玉県本部